Ectrichodiinae

Breadcrumb

 

Diagnosis and Specialized Morphology

Ectrichodiinae are sometimes referred to as millipede assassin bugs. Most members of this subfamily are characterized by:
1) scutellum with two processes projecting posteriorly
2) antennal basi- and distiflagellomeres usually subdivided
3) forewing membrane with 2 or 3 closed cells
4) fossula spongiosa present on fore- and middle tibiae

 

Taxonomic History

Dougherty (1995) provides a review of the taxonomic history for Ectrichodiinae. Ectrichodiinae was one of the subfamilies established by Amyot & Serville (1843) when they divided the Reduviidae into groups and has persisted since. No tribes are currently recognized within the subfamily, and large monographic revisions are lacking. Much of the taxonomic history for this subfamily is characterized by genus and species descriptions and synonymy. Currently, more than half of the described genera are monotypic. Most species have been described based on a few specimens of a single sex, posing a taxonomic problem given a prevalence of strong sexual dimorphism.

 

Natural History/Biology

The millipede assassin bugs represent the fifth largest subfamily of Reduviidae. More than 660 species (123 genera) have been described (Maldonado 1990, Dougherty 1995, Carpintero & Maldonado 1996, Weirauch et al. 2009, Chlond 2010), and the subfamily has a circumtropical distribution. Many species exhibit aposematic coloration and strong sexual dimorphism, two traits not commonly observed in many other reduviid subfamilies. Furthermore, some species in the Neotropics and Africa exhibit wing polymorphism within the same sex (Dougherty 1995).
 

Ectrichodiinae are most commonly found in leaf litter and are nocturnal (Miller 1953, Louis 1974, Schuh & Slater 1995). Based on a handful of published observations reviewed by Forthman & Weirauch (2012) and personal communications (J. Deckert, J. M. Bérenger, D. Pluot-Sigwalt), they appear to specialize on millipedes (Diplopoda). Diplopods have powerful chemical defense and only few predators exploit this group of arthropods as prey (Eisner et al. 1998). The methods by which Ectrichodiinae circumvent millipede defenses are unstudied, as is their prey specifity.
 

Check out revisions of the Madagascar Ectrichodiinae fauna here!

Check out the unlikely relationships of Ectrichodiinae + Tribelocephalinae here!
 

References

Carpintero, D.J., Maldonado, J. 1996. Diagnostic characters and key to the genera of American Ectrichodiinae (Heteroptera, Reduviidae). Caribb. J. Sci. 32: 125-141.

Chlond, D. 2010. A new, remarkable genus and two new species of Ectrichodiinae (Hemiptera: Heteroptera: Reduviidae) from Madagascar. Zootaxa 2522: 61-68.

Dougherty, V. 1995. A review of the New World Ectrichodiinae genera (Hemiptera: Reduviidae). Trans. Am. Entomol. Soc. 121: 173-225.

Eisner, T., Eisner, M., Attygalle, A.B., Deyrup, M., Meinwald, J. 1998. Rendering the inedible edible: circumvention of a millipede's chemical defense by a predaceous bettle larva (Phengodidae). Proc. Natl. Acad. Sci. USA 95: 1108-1113.

Forthman, M., Weirauch, C. 2012. Toxic associations: a review of the predatory behaviors of millipede assassin bugs (Hemiptera: Reduviidae: Ectrichodiinae). Eur. J. Entomol. 109: 147-153.

Louis, D. 1974. Biology of Reduviidae of cocoa farms in Ghana. Am. Midl. Nat. 91: 68-89.

Maldonado, J. 1990. Systematic catalogue of the Reduviidae of the world (Insecta: Heteroptera). Caribb. J. Sci. Special Edition: 1-694.

Miller, N.C.E. 1953. Notes on the biology of the Reduviidae of southern Rhodesia. Trans. Zool. Soc. London 27: 541-672.

Schuh, R.T., Slater, J.A. 1995. True Bugs of the World (Hemiptera: Heteroptera): Classification and Natural History. Comstock Pub. Associates, Ithaca. 336 pp.

Weirauch, C., Rabitsch, W., Redei, D. 2009. Austrokatanga, gen. nov., new genus of Ectrichodiinae (Hemiptera: Heteroptera: Reduviidae) from Australia. Zootaxa 2094: 1-15.

 

 

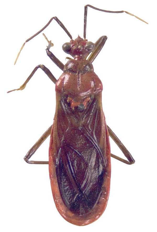
Brontostoma Colossus
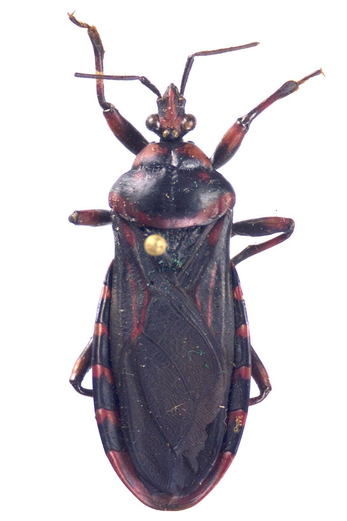
Xenorhyncocoris Caraboides
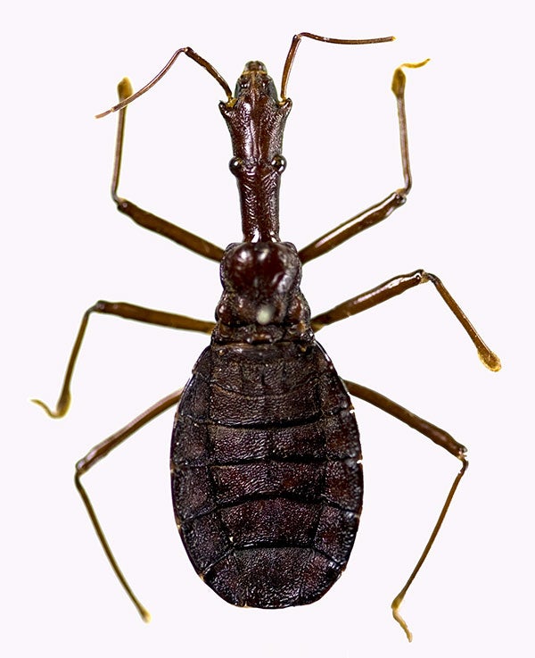
Vilius Lateralis
Ectrichodiinae Plate
Let us help you with your search